Tehranian Political Captives ' Health Deteriorates on Thirteenth Day of Starvation'.
Mon November 1008:20 PM
  • Iranian Governmental Detainees ' Well-being Declines on 13th Daytime of Hunger Strike'.
    Iranian Governmental Detainees ' Well-being Declines on 13th Daytime of Hunger Strike'.

  • South Korea to send representative in Angola in honor of 50th independence anniversary
    South Korea to send representative in Angola in honor of 50th independence anniversary

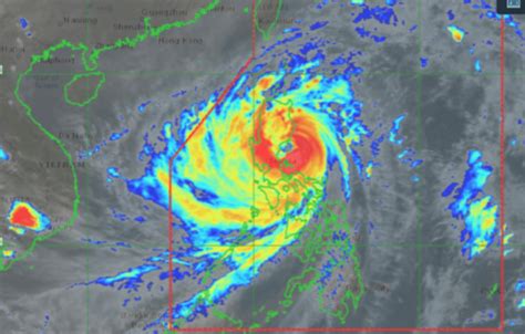
  • Intense Cyclone Fung-Wong Path, Graphics and Alerts as Tempest Nears Landfall.
    Intense Cyclone Fung-Wong Path, Graphics and Alerts as Tempest Nears Landfall.

  • Palestinians recount|'Black Hole'|dark pit|deep void} in relation to Israeli incarceration
    Palestinians recount|'Black Hole'|dark pit|deep void} in relation to Israeli incarceration

  • American strikes on pair substance-carrying vessels in sea end the lives of 6, the spokesperson says
    American strikes on pair substance-carrying vessels in sea end the lives of 6, the spokesperson says

  • The country of Lebanon: The Israeli government Changes ‘Rules of Engagement’... Abandons ‘Civilian Immunity’ Principle'.
    The country of Lebanon: The Israeli government Changes ‘Rules of Engagement’... Abandons ‘Civilian Immunity’ Principle'.

  • The Land of the Rising Sun and Zhongguo exchange barbs after PM the Prime Minister's Taiwan comments.
    The Land of the Rising Sun and Zhongguo exchange barbs after PM the Prime Minister's Taiwan comments.

  • the President loudly booed by spectators during Redskins NFL event.
    the President loudly booed by spectators during Redskins NFL event.

  • Trump mocked as the current US president during a regular-season NFL match since the Carter administration during the late 1970s
    Trump mocked as the current US president during a regular-season NFL match since the Carter administration during the late 1970s

  • African Union calls for urgent intervention during intensifying disaster in West Africa
    African Union calls for urgent intervention during intensifying disaster in West Africa

Privacy Policy

This website does not host or distribute copyrighted materials. If you believe any content on this site infringes your copyright, please contact us at [email protected]. We will promptly review and remove any infringing content.